Μιλώντας στο Γαλλικό Πρακτορείο, ο γενικός διευθυντής Πολιτικής Προστασίας της Αϊτής, ο Εμανουέλ Πιερ, τόνισε ότι οι έρευνες για τους αγνοούμενους συνεχίζονται στην παράκτια κοινότητα Πτι Γκοάβ.
Ο ποταμός Λα Ντιγκ υπερχείλισε, παρασύροντας πολλά σπίτια στην παράκτια πόλη, σύμφωνα με κατοίκους. «Άνθρωποι σκοτώθηκαν, σπίτια παρασύρθηκαν», δήλωσε ένας κάτοικος, ο Στιβ Λουισέν.
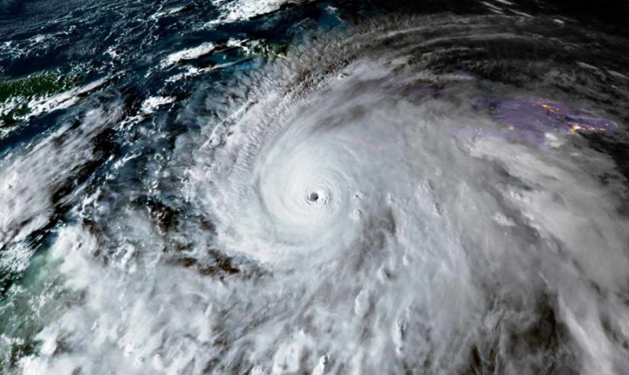
Ο κυκλώνας Μελίσα είναι ο ισχυρότερος που έχει φτάσει στην ξηρά τα τελευταία 90 χρόνια, σύμφωνα με ανάλυση του Γαλλικού Πρακτορείου που βασίστηκε σε μετεωρολογικά δεδομένα από την Εθνική Υπηρεσία Ωκεανών και Ατμόσφαιρας των ΗΠΑ (NOAA).
Έφτασε στην ξηρά χθες Τρίτη στην Τζαμάικα και στη συνέχεια στην Κούβα, όπου, σύμφωνα με τον Κουβανό πρόεδρο, προκάλεσε «σημαντικές ζημιές».
Σήμερα, αξιωματούχος του ΟΗΕ στην Τζαμάικα είπε πως οι καταστροφές που προκλήθηκαν έφθασαν σε «πρωτοφανή επίπεδα», καθώς ο κυκλώνας Μελίσα είναι ο ισχυρότερος στην ιστορία της χώρας.
Πηγή: ΑΠΕ ΜΠΕ




